logo

Как исправить допущенную Росреестром ошибку в документах

Печатная версия страницы
Исправление технических ошибок в Росреестре
Исправление технических ошибок в Росреестре

Во время регистрации дома или земельного участка часто обнаруживаются технические ошибки, устранение которых ложится на плечи собственника. Наличие ошибки в документах грозит невозможностью проведения коммерческих сделок с имуществом. А если расхождения в сведениях обнаружены на этапе регистрации, процесс приостанавливается, пока недочёт не устранят.

Обнаружение ошибки в базе Росреестра

В своей практике юристам АН Истрариел приходится сталкиваться с невнимательностью сотрудников Росреестра при обработке документов. Подобный случай произошёл с одним из клиентов, который решил зарегистрировать право собственности на земельный участок для ведения садоводства и обратился к инженерам с просьбой уточнить границы.

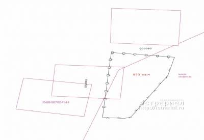
схема накладки земельных участков
Накладка границ на несуществующий участок

Для этого геодезист при помощи GPS-оборудования на местности определил координаты поворотных точек, замерил площадь участка и установил границы. На основе полученных расчётов кадастровый инженер разработал межевой план. Составлять акт согласования границ со смежными землепользователями в этом случае не понадобилось — участок располагался отдельно.

Приложив к межевому плану свидетельство о праве на землю, юрист компании Истрариел подал пакет документов в Росреестр. По итогу в регистрации участка было отказано, потому что по сведениям Росреестра, границы отмежёванного участка якобы накладывались на границы смежного. То есть, границы некого участка, граничащего с участком клиента, были зафиксированы на карте Росреестра. В действительности же такого участка не существует: ни кадастрового номера, ни координат, ни оформленных прав на участок не оказалось.

В Росреестре при исправлении ошибки допустили ещё одну

Обнаружив «участок-пустышку», наш юрист подал заявление на исправление технической ошибки. То есть, выявленное недоразумение сотрудники Росреестра должны были устранить — удалить несуществующий участок из базы, и тогда сведения об участке клиента можно было бы вносить в ЕГРН и регистрировать право собственности. Сотрудники Росреестра отреагировали на заявление и удалили участок. Правда, участок клиента.

Несложно предположить реакцию заказчика, который хотел зарегистрировать землю, а вместо этого участок просто исключили из кадастра недвижимости. За время сотрудничества с Росреестром юристам АН Истрариел приходилось разрешать различные нелепые ситуации, и подобную ошибку также удалось устранить: участок клиента вернулся в базу данных, техническую ошибку в виде несуществующего участка удалили из реестра.

Как не допустить техническую ошибку в ЕГРН

Чтобы избежать подобных недоразумений, юристы АН Истрариел рекомендуют собственникам заказать выписку из ЕГРН на недвижимость, чтобы сравнить фактические сведения со сведениями Росреестра.

В штате АН Истрариел работают геодезисты, кадастровые инженеры и практикующие юристы, в компетенции которых:

  • разработка межевых и технических планов;
  • оформление объектов недвижимости в собственность;
  • решение земельных споров между соседями;
  • сопровождение коммерческих сделок с недвижимостью и другое.

С дополнительной информацией можно ознакомиться в разделе "Услуги".

Исправление технических ошибок в РосреестреИсправление технических ошибок в РосреестреИсправление технических ошибок в Росреестре